Fale Conosco

12 3018-4910

Corretores:

Raquel Jordán

(12) 99128-4712

75510-F

Alberto Vidal

(12) 99723-0430

67651-F
Digite a referência do imóvel >

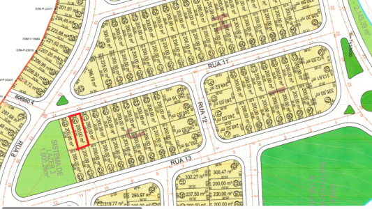
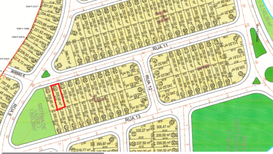
Terreno Residencial / São José dos Campos / Vila Amélia

Referência: TO-3218

TERRENO DE 200M² NO LOTEAMENTO VILA AMÉLIA

Descrição

Ótimo terreno no Vila Amélia de  240m²,  na Zona Sul de São José dos Campos. 

 

Loteamento planejado com infraestrutura completa, pronto para construir e lazer diferenciado. Garanta seu espaço em um bairro que não para de valorizar.

 

O novo loteamento contempla praças equipadas com playground, quadras, academia ao ar livre, paisagismo, ciclovia, áreas institucionais (terrenos para implantação pela Prefeitura de futuros equipamentos públicos), além de áreas de proteção permanente (mais de 200.000 m²). Um bairro pensado para garantir qualidade de vida aos moradores!



Cidade: São José dos Campos
Tipo: Terreno Residencial

Valor para Venda: R$ 215.000,00

Gostou deste imóvel? Fale conosco

Simule seu financiamento

CREDIHOME Caixa Banco Santander Banco do Brasil Itaú Bradesco

Voltar

As informações sobre os imóveis, preços e condições de venda ou locação, são de inteira responsabilidade dos proprietários, sendo que eles poderão retirá-los da relação, ou alterar seus preços sem prévio aviso.

2010 - 2026 | Corretores Premium | Todos os direitos reservados | São José dos Campos, SP
+55 (12) 3207-0059 | 99128-4712 | 99723-0430 | contato@raqueljordan.com.br

Desenvolvimento Web: Sites & Cia | EmpresasVALE