Fale Conosco

12 3018-4910

Corretores:

Raquel Jordán

(12) 99128-4712

75510-F

Alberto Vidal

(12) 99723-0430

67651-F
Digite a referência do imóvel >

Terreno Residencial / São José dos Campos / Santa Lucia 1 B

Referência: TO-2887

TERRENO COMERCIAL OU RESIDENCIAL NO SANTA LÚCIA

Descrição

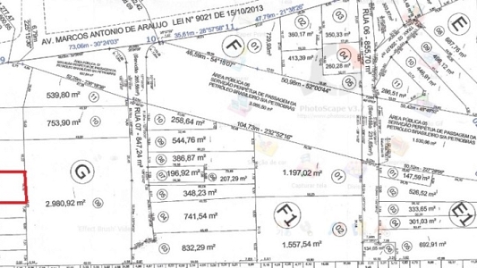
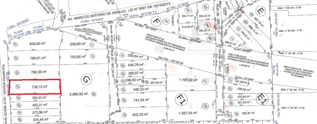
Terreno de 738,12m² no bairro no bairro Bom Retiro - Santa Lúcia 1B (zona Leste) em São José dos Campos, próximo a Gráfica Tamoios. Medidas aproximadas de . 15mts x 50 mts. 

 

Ótimo espaço para montar um comércio de material de construção, por exemplo. Local com toda infraestrutura urbana instalada: tem água, esgoto, luz, guias e asfalto, telefone, internet, etc. 

 

Está liberado para construção legalizada. No terreno já existem construções em ambos os lados (vizinhos) e também nos fundos. Aceita automóvel pelo valor de mercado como parte de pagamento e estuda proposta. 

 

Documentação completa e atualizada.



Cidade: São José dos Campos
Tipo: Terreno Residencial

Valor para Venda: R$ 200.000,00

Gostou deste imóvel? Fale conosco

Simule seu financiamento

CREDIHOME Caixa Banco Santander Banco do Brasil Itaú Bradesco

Voltar

As informações sobre os imóveis, preços e condições de venda ou locação, são de inteira responsabilidade dos proprietários, sendo que eles poderão retirá-los da relação, ou alterar seus preços sem prévio aviso.

2010 - 2025 | Corretores Premium | Todos os direitos reservados | São José dos Campos, SP
+55 (12) 3207-0059 | 99128-4712 | 99723-0430 | contato@raqueljordan.com.br

Desenvolvimento Web: Sites & Cia | EmpresasVALE